土地分譲
水戸市 見川三丁目
グランプレミアム見川三丁目【建築条件付土地分譲】
◆敷地面積61坪以上
◆「見川小学校」まで徒歩9〜10分
◆桜川緑地から続く桜川のほとり
- 学近
- ガス仕様
コンセプト
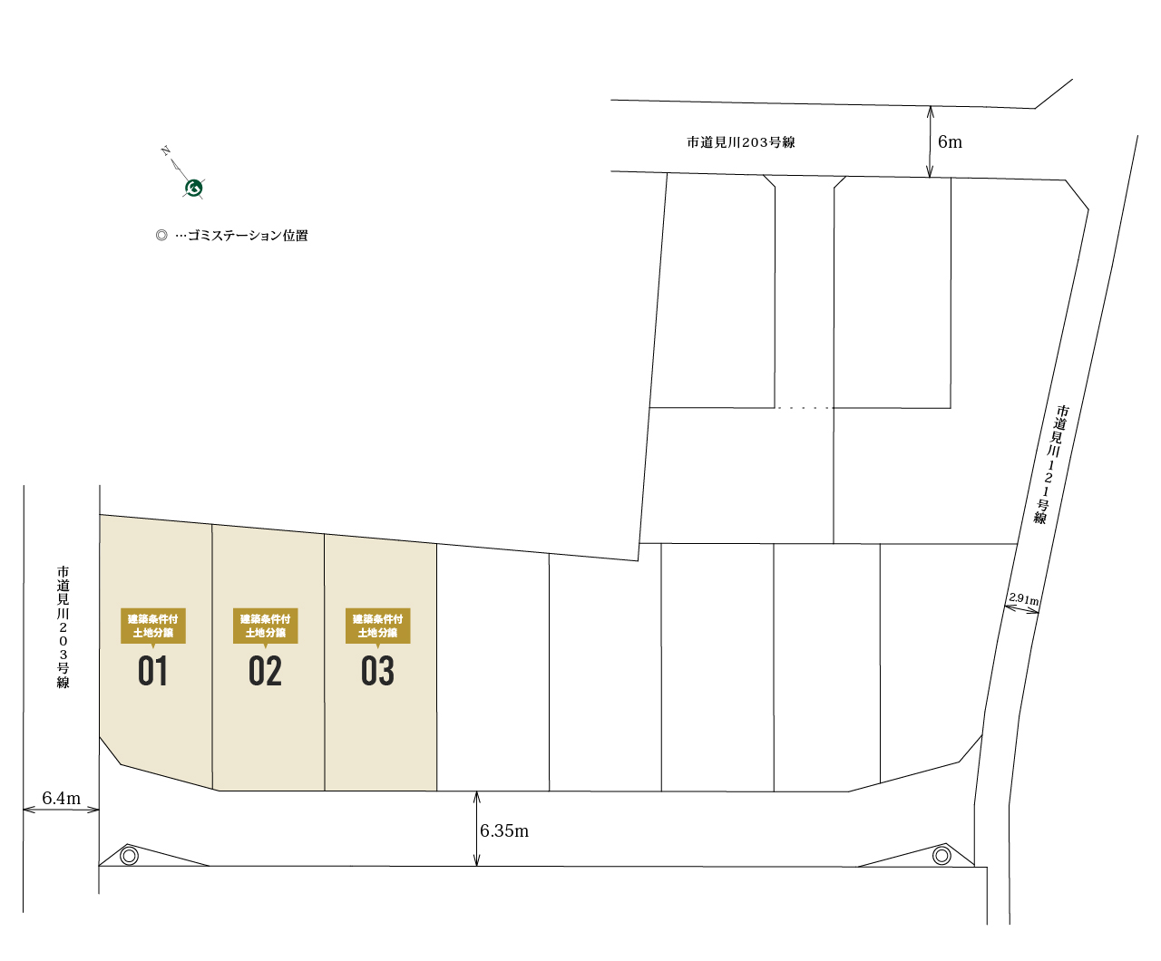
区画図・プラン

プラン
近隣分譲地のモデルハウス
近くの分譲地内にあるモデルハウスをご見学いただけます。
収納や家事動線、家の中に入ってくる陽光や風など、実際の暮らし心地を体感できます。
[ グランプレミアム見川三丁目 ]
6号地モデルハウス4LDK
モデルハウスの特徴

ファミリースペース
子ども達やご夫婦が思い思いに過ごせるライブラリーのような「ファミリースペース」。ワイドなカウンターを設置してあるので、趣味や読書、宿題など、さまざまな用途で活用できます。
- ファミリースペース
- シューズクローク
- オープンキッチン
- ウォークインクローゼット
- インナーバルコニー
- リネン庫
- パントリー
- 2階フレキシブル
- 駐車場2台以上
- 電動シャッター
- タッチレス水栓
- 玄関電子錠
- 南面道路
- 2階4部屋
- 制震ダンパー「K3」
周辺環境・アクセス
心地いい四季の潤いを感じる桜川緑地を臨む見川三丁目。
穏やかな景色のそばには暮らしを彩る都市の利便が整います。
桜川緑地から続く桜川のほとり。
利便性の高い水戸中心エリアでありながらも四季を感じさせる憩いの風景が広がるロケーション。
都市のオアシスのようなとっておきの場所で、ゆとりのある過ごし方をお楽しみいただけます。
交通・駅
スーパー
コンビニ
買い物
デパート
飲食店
教育
学区
-
{{item.name}}
[{{item.cate}}]{{item.place}}
徒歩:{{item.distance}}
- 該当なし
{{activePrice['start']}}万円
{{activePrice['end']}}万円
(税込)販売価格: お問い合わせください
| {{item.label}} | {{item.detail}} |
|---|
- {{item}}
- 分譲地は地図中心の黄色のピンに位置します。(実際の位置から多少ずれることがあります)
- 周辺施設は、分譲地の所在地から半径3km以内の施設(大型施設は半径5km以内、駅は半径10km以内)のみを表示しています。
- 分譲地から各施設への距離・徒歩時間は、GoogleMapの徒歩ルートを基に徒歩1分=80mにて算出しています。
- 上記に表示されている地図・ルート検索・周辺施設情報は、Google社が提供するGoogleMapより物件の所在地に合わせて取得しております。
そのため、表示されている施設情報および物件からの距離・移動時間などは実際と異なる場合があります。 - 物件から周辺施設までの距離・移動時間は、利用が想定される道路を通行した場合の情報です。
なお、必ずしも最短距離を保証するものではありません。
カーナビアドレス
水戸市見川3丁目582-2付近
- 現地は上記付近となります。
- 機種により対応できない場合がございます。
物件概要
| 名称 | グランプレミアム見川三丁目【建築条件付土地分譲】 |
|---|---|
| 所在地 |
茨城県水戸市見川三丁目582-21外
Mapを確認
この所在地を入力してもカーナビやMapサイトでは正確に表示されません。こちらから現地をご確認ください。 |
| 交通 | JR常磐線・JR水郡線・鹿島臨海鉄道「水戸」駅より約4,000m 〜 約4,120m JR常磐線「赤塚」駅より約3,300m 〜 約3,420m 茨城交通バス「表入口」停留所より徒歩 2分( 約130m ) 〜 徒歩 4分( 約250m ) |
| 道路 | 6.35m、6.4m幅員アスファルト舗装 |
| 私道負担 | なし |
| 用途地域 | 第1種低層住居専用地域 |
| 地域指定 | 有「建築基準法第22条区域」「景観法」 |
| 地域区分 | 市街化区域 |
| 総区画数 | 全11区画 |
| 取引態様 | 売主( 茨城グランディハウス株式会社 ) |
| 販売支店 | 茨城オーダー建築部オーダー営業課 |
| 更新日 | 2026年4月28日 |
| 次回更新予定日 | 2026年5月12日 |
| 備考1 | ※更新・メンテナンス中に予約・売約済の場合はご容赦願います。 ※表示価格の他に、諸経費等が別途必要となります。 ※最新の販売状況につきましては「資料請求」ボタンよりお気軽にお問い合わせください。 |
| 販売区画数 | 3区画 |
|---|---|
| 設備 | 東京電力、 公営水道、 公共下水道、 各戸プロパン |
| 建築条件 | 付 |
| 販売価格 | 1,196.3万円 〜 1,263万円 |
| 建ぺい率 | 40% |
| 容積率 | 80% |
| 敷地面積 |
202.81㎡(61.35坪) 210.49㎡(63.67坪) |
| 開発総面積 | 2,810.02㎡ |
| 土地開発許可番号 | 第6号 |
| 開発許可日 | 2025年4月10日 |
| 造成工事完了予定日 | 造成済 |
| 土地分譲備考 | ※各号地の上空を電線が通過します。※表示価格の他に、諸経費等が別途必要になります。※この土地は、土地売買契約後3ヶ月以内に、茨城グランディハウス株式会社と建物の建築請負契約を締結することを条件に販売します。この期間内に建築請負契約を締結されなかった場合は、土地売買契約は白紙となり、受領した手付け金等の土地代金はすべてお返しします。※水道加入金(φ20mm¥114,400)、手数料等が別途必要となります。 |
merit.1待ち時間なしで見学できる
ご来場後にお待たせすることなく、ご希望のお時間で見学いただけます。また、お仕事の都合などで夕方以降の見学をご希望の方も、ご予約で日時指定いただければ対応可能です。
merit.2ご要望にあわせたご案内
ご予約時に、知りたいことや住宅購入についてのご要望を事前にお伝えいただけると、担当者がお客様に合わせて資料をご用意し、ご案内させていただきます。
物件のお問い合わせ





































